Connectez-vous/S’inscrire
Votre e-mail a été envoyé.
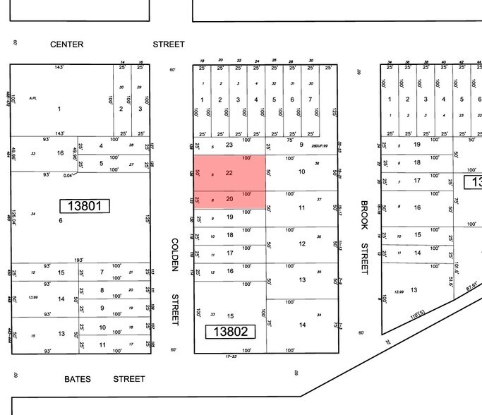
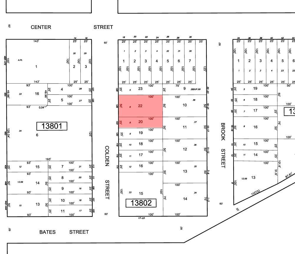
122 Colden St, Jersey City, NJ 07302 122 Colden St Terrain industriel | À louer | 0,09 ha | Jersey City, NJ 07302



Certaines informations ont été traduites automatiquement.
INFORMATIONS PRINCIPALES
- près de New York et de toutes les principales autoroutes
LOT DISPONIBLE
Afficher les loyers en
| Loyer |
|
Surface du lot | 0,09 ha |
| Durée du bail | Négociable |
| Loyer | |
| Durée du bail | Négociable |
| Surface du lot | 0,09 ha |
contractor storage yard, car storage yard
APERÇU DU BIEN
10 000 pieds carrés de terrain pour l'entreposage des entrepreneurs et des véhicules
INFORMATIONS SUR L’IMMEUBLE
| Espace total disponible | 0,09 ha | Sous-type de bien | Terrain industriel |
| Type de bien | Terrain | Usage proposé | Parking |
| Espace total disponible | 0,09 ha |
| Type de bien | Terrain |
| Sous-type de bien | Terrain industriel |
| Usage proposé | Parking |
1 1
Walk Score®
Idéal pour les promeneurs (90)
Transit Score®
Excellent réseau de transport en commun (74)
1 sur 4
VIDÉOS
VISITE EXTÉRIEURE 3D MATTERPORT
VISITE 3D
PHOTOS
STREET VIEW
RUE
CARTE
1 sur 1
Présenté par
Michael Mecca
122 Colden St, Jersey City, NJ 07302 | 122 Colden St
Vous êtes déjà membre ? Connectez-vous
Hum, une erreur s’est produite lors de l’envoi de votre message. Veuillez réessayer.
Merci ! Votre message a été envoyé.
