Connectez-vous/S’inscrire
Votre e-mail a été envoyé.
Sebring Jet Center 121 Authority Ln Immeuble | 6 596 m² | Spécialité | À vendre | Sebring, FL 33870



Certaines informations ont été traduites automatiquement.
RÉSUMÉ ANALYTIQUE
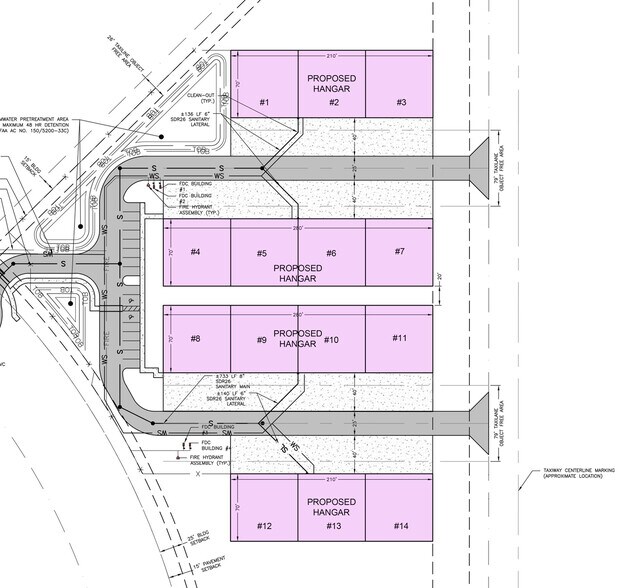
Sebring Jet Center (SJC) Purchase / Lease an Aviation Hangar Condominium
Sebring Regional Airport (KSEF) Sebring Florida
Features:
~ A Full Service FBO | 2- ASPH RWY's | 01/19 5,234' x 100' & 14/32' 4,990' x 100'
~14 Private Hangars | 90 X 90 ' / 85' Wide Door & 70 X 70' /65' Wide Door. Both are 22' High Bi-Fold Doors.
~ 40 Year Ground Lease | Land Lease in CAM
~ Steel Construction | 140 MPH Wind Rating
Sebring Regional Airport (KSEF) Sebring Florida
Features:
~ A Full Service FBO | 2- ASPH RWY's | 01/19 5,234' x 100' & 14/32' 4,990' x 100'
~14 Private Hangars | 90 X 90 ' / 85' Wide Door & 70 X 70' /65' Wide Door. Both are 22' High Bi-Fold Doors.
~ 40 Year Ground Lease | Land Lease in CAM
~ Steel Construction | 140 MPH Wind Rating
INFORMATIONS SUR L’IMMEUBLE
| Type de vente | Investissement ou propriétaire occupant | Statut de la construction | Avant-projet |
| Condition de vente | Emphytéose (Frais de cession-bail) | Surface de l’immeuble | 6 596 m² |
| Type de bien | Spécialité | Nb d’étages | 1 |
| Type de vente | Investissement ou propriétaire occupant |
| Condition de vente | Emphytéose (Frais de cession-bail) |
| Type de bien | Spécialité |
| Statut de la construction | Avant-projet |
| Surface de l’immeuble | 6 596 m² |
| Nb d’étages | 1 |
1 1
TAXES FONCIÈRES
| Numéro de parcelle | C-08-35-30-A00-0010-0000 | Évaluation des aménagements | 15 055 975 € |
| Évaluation du terrain | 1 157 427 € | Évaluation totale | 16 213 402 € |
TAXES FONCIÈRES
Numéro de parcelle
C-08-35-30-A00-0010-0000
Évaluation du terrain
1 157 427 €
Évaluation des aménagements
15 055 975 €
Évaluation totale
16 213 402 €
1 sur 4
VIDÉOS
VISITE EXTÉRIEURE 3D MATTERPORT
VISITE 3D
PHOTOS
STREET VIEW
RUE
CARTE
1 sur 1
Présenté par
Sebring Jet Center | 121 Authority Ln
Vous êtes déjà membre ? Connectez-vous
Hum, une erreur s’est produite lors de l’envoi de votre message. Veuillez réessayer.
Merci ! Votre message a été envoyé.
