Votre e-mail a été envoyé.
Certaines informations ont été traduites automatiquement.
Informations principales
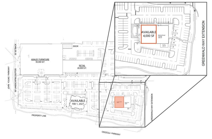
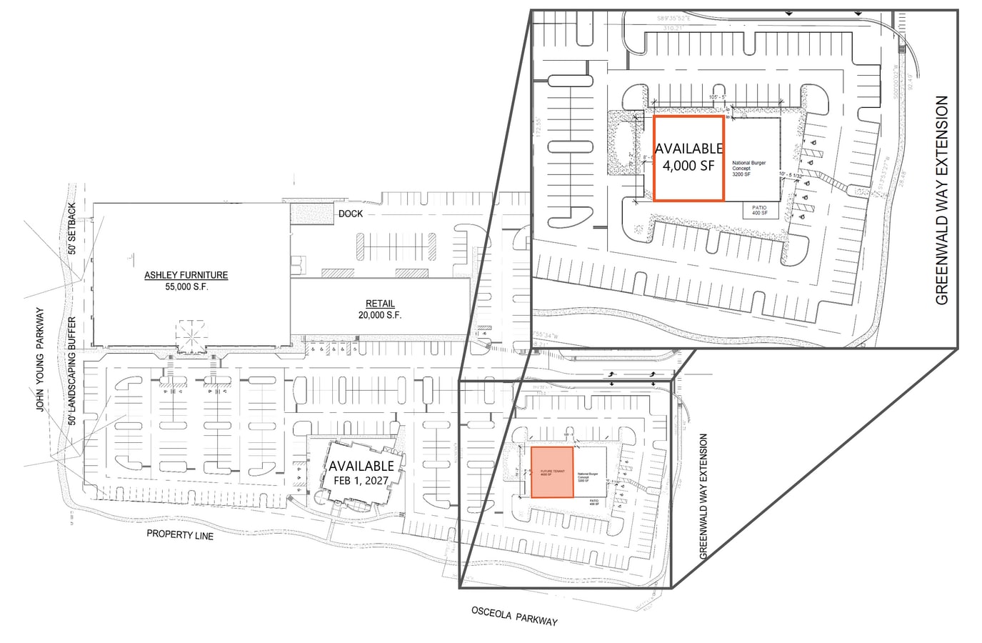
- 7,240 SF endcap space available—formerly a restaurant with flexible build-out potential.
- Ideal for restaurant, medical, or retail use with heavy foot traffic and cross-shopping.
- Excellent signage and accessibility in a major retail trade area.
- Located in Osceola Corporate Center, anchored by strong national brands.
- Surrounded by top-tier retailers like BJ’s, Lowe’s, Marshalls, Burlington, and HomeGoods.
Disponibilité de l’espace (1)
Afficher le tarif en
- Espace
- Surface
- Durée
- Loyer
- Type de loyer
| Espace | Surface | Durée | Loyer | Type de loyer | ||
| 1er étage | 673 m² | Négociable | Sur demande Sur demande Sur demande Sur demande | À déterminer |
1er étage
Now available for lease, this 7,240 SF former restaurant space offers an exceptional opportunity within the Osceola Corporate Center, a vibrant retail hub in a high-traffic corridor. The space is ideal for a wide range of food and beverage concepts or adaptive reuse for medical, retail, or specialty service tenants.
- Entièrement aménagé comme un espace de restaurant ou café
- L’espace est une parcelle indépendante de ce bien
- Climatisation centrale
- Great location.
- 7,240 SF endcap space - formerly a restaurant
- Anchored by strong national brands
Types de loyers
Le montant et le type de loyer que l’occupant (locataire) est tenu de payer au propriétaire (bailleur) sur la durée du bail sont négociés avant la signature du bail par les deux parties. Le type de loyer varie selon les services fournis. Par exemple, le prix d’un loyer triple net est habituellement inférieur à celui d’un bail à service complet puisque l’occupant est tenu d’assumer des dépenses supplémentaires par rapport au loyer de base. Contacter le broker chargé de l’annonce pour bien comprendre les coûts associés ou les dépenses supplémentaires pour chaque type de loyer.
1. Service complet: Un loyer qui comprend des services d’immeuble standards normaux fournis par le propriétaire dans le cadre d’une location annuelle de base.
2. Double net (NN): L’occupant paie seulement deux des frais de l’immeuble. Le propriétaire et l’occupant déterminent ces frais spécifiques avant la signature du bail.
3. Triple net (NNN): Un bail selon lequel l’occupant est responsable de tous les frais liés à sa part proportionnelle d’occupation de l’immeuble.
4. Brut modifié: Le brut modifié est un type général de bail dans lequel l’occupant est en général responsable de sa part proportionnelle d’une ou de plusieurs dépenses. C’est le propriétaire qui paie les frais restants. Consultez la liste ci-dessous pour connaître les structures de loyers bruts modifiés les plus courantes : 4. Plus services publics: Un type de bail brut modifié, où l’occupant est responsable à hauteur de sa part proportionnelle des services publics en plus du loyer. 4. Plus nettoyage: Un type de bail brut modifié, où l’occupant est responsable à hauteur de sa part proportionnelle du nettoyage en plus du loyer. 4. Plus électricité: Un type de bail brut modifié, où l’occupant est responsable à hauteur de sa part proportionnelle du coût de la consommation électrique en plus du loyer. 4. Plus électricité et nettoyage: Un type de bail brut modifié, où l’occupant est responsable à hauteur de sa part proportionnelle du coût de la consommation électrique et du nettoyage en plus du loyer. 4. Plus services publics et charges: Un type de bail brut modifié où l’occupant est responsable à hauteur de sa part proportionnelle des services publics et du coût de nettoyage en plus du loyer. 4. Bail industriel brut: Un type de bail brut modifié dans lequel l’occupant paie un ou plusieurs des frais en plus du loyer. Le propriétaire et l’occupant déterminent ces frais spécifiques avant la signature du bail.
5. Électricité à la charge de l’occupant: Le propriétaire paie pour tous les services et l’occupant est responsable de sa propre utilisation de l’éclairage et des prises électriques dans l’espace qu’il occupe.
6. Négociable ou sur demande: Cette option est utilisée lorsque le contact de location n’indique pas le type de loyer ou de service.
7. À déterminer: À déterminer : utilisé pour les immeubles dont le type de services ou de loyer n’est pas connu, souvent quand l’immeuble n’est pas encore construit.
Plan du site
Informations sur l’immeuble
| Espace total disponible | 673 m² | Année de construction | 2027 |
| Type de bien | Local commercial | Statut de la construction | Avant-projet |
| Surface commerciale utile | 678 m² |
| Espace total disponible | 673 m² |
| Type de bien | Local commercial |
| Surface commerciale utile | 678 m² |
| Année de construction | 2027 |
| Statut de la construction | Avant-projet |
À propos du bien
Join nationally recognized co-tenants including Ashley Furniture, Mattress Firm, Suncoast Credit Union, and PM Pediatric Urgent Care, with strong daily foot traffic and regional draw. The center is surrounded by a robust mix of national retailers such as BJ's Wholesale Club, Lowe's, Hobby Lobby, Marshalls, Ross, and Nike, positioning this site for immediate visibility and success.
Principaux commerces à proximité
Présenté par
1201 W Osceola Pky
Hum, une erreur s’est produite lors de l’envoi de votre message. Veuillez réessayer.
Merci ! Votre message a été envoyé.





