Connectez-vous/S’inscrire
Votre e-mail a été envoyé.
Certaines informations ont été traduites automatiquement.
Résumé analytique
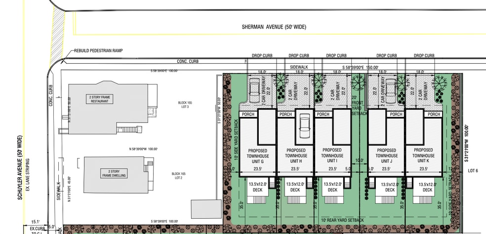
Calling all builders and developers ; Lot for sale with approved subdivision to build 5 townhouses in North Arlington Asking Price $ 1,000,000.
Plans available upon request. a walk-able / community-oriented location , within commuting distance of NYC, with good access to parks, amenities, and a diverse, . It’s likely a comfortable place for families, couples, or professionals who want a balance of suburban peace + city-area access.
Plans available upon request. a walk-able / community-oriented location , within commuting distance of NYC, with good access to parks, amenities, and a diverse, . It’s likely a comfortable place for families, couples, or professionals who want a balance of suburban peace + city-area access.
Informations sur l’immeuble
| Prix | 862 870 € | Sous-type de bien | Résidentiel |
| Type de vente | Investissement | Usage proposé | |
| Nb de lots | 1 | Surface totale du lot | 0,14 ha |
| Type de bien | Terrain | ||
| Zonage | 2 - Residential | ||
| Prix | 862 870 € |
| Type de vente | Investissement |
| Nb de lots | 1 |
| Type de bien | Terrain |
| Sous-type de bien | Résidentiel |
| Usage proposé | |
| Surface totale du lot | 0,14 ha |
| Zonage | 2 - Residential |
1 Lot disponible
Lot
| Prix | 862 870 € | Surface du lot | 0,14 ha |
| Prix par ha | 6 271 171,03 € |
| Prix | 862 870 € |
| Prix par ha | 6 271 171,03 € |
| Surface du lot | 0,14 ha |
1 1
Moderately walkable
60/100
Exceptionally drivable
90/100
Limited public transit
30/100
Fairly bikeable
40/100
Taxes foncières
| Numéro de parcelle | 39-00165-0000-00004 | Évaluation des aménagements | 0 € |
| Évaluation du terrain | 200 445 € | Évaluation totale | 200 445 € |
Taxes foncières
Numéro de parcelle
39-00165-0000-00004
Évaluation du terrain
200 445 €
Évaluation des aménagements
0 €
Évaluation totale
200 445 €
1 sur 3
Vidéos
Visite extérieure 3D Matterport
Visite 3D
Photos
Street view
Rue
Carte
1 sur 1
Présenté par
11-19 Sherman Ave
Vous êtes déjà membre ? Connectez-vous
Hum, une erreur s’est produite lors de l’envoi de votre message. Veuillez réessayer.
Merci ! Votre message a été envoyé.



