Votre e-mail a été envoyé.
10622 S Loop Rd Lot | Terrain commercial | 0,1 ha | À vendre | 42 272 € | California City, CA 93505



Certaines informations ont été traduites automatiquement.
INFORMATIONS PRINCIPALES SUR L'INVESTISSEMENT
- ±0.25 AC of Shovel Ready Retail Development Land
- Water, Sewer, Power Panel, Asphalt, & Parking Lot Light In Place
- High Identity Location | Expedient County Building Jurisdiction
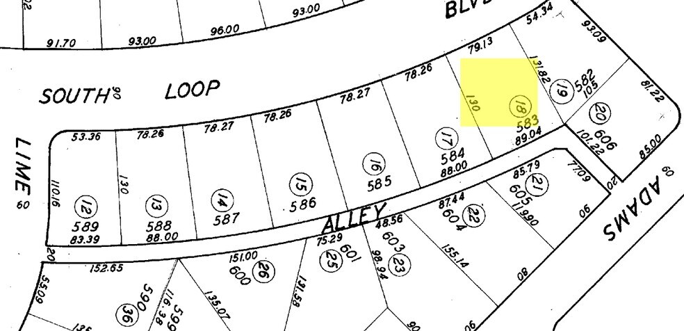
- Square Parcel: ±89' Wide By ±130' Deep (±10,676 SF)
- All Curb/Gutter/Approaches/Cross Access In Place/Utilities At Site
- Surrounded By California City's Highest Trafficked Roads & Major Arterials
RÉSUMÉ ANALYTIQUE
Location Description
The property is located north of Redwood Blvd, east of Lehigh St, south of Loop Blvd and west of California City Blvd. With direct access to California City Blvd, it offers beautiful views as well as a secure and private location. California City is a city located in northern Antelope Valley in Kern County, California, United States. It is 100 miles north of the city of Los Angeles, and the population was 14,973 at the 2020 census. Covering 203.63 square miles, California City has the third-largest land area of any city in the state of California, and is the largest city by land area in California that is not a county seat.
INFORMATIONS SUR L’IMMEUBLE
| Prix | 42 272 € | Sous-type de bien | Terrain commercial |
| Type de vente | Investissement | Usage proposé | Commercial |
| Nb de lots | 1 | Surface totale du lot | 0,1 ha |
| Type de bien | Terrain | Zone de développement économique [USA] |
Oui
|
| Zonage | C-1 - Usage mixte commercial | ||
| Prix | 42 272 € |
| Type de vente | Investissement |
| Nb de lots | 1 |
| Type de bien | Terrain |
| Sous-type de bien | Terrain commercial |
| Usage proposé | Commercial |
| Surface totale du lot | 0,1 ha |
| Zone de développement économique [USA] |
Oui |
| Zonage | C-1 - Usage mixte commercial |
1 LOT DISPONIBLE
Lot
| Prix | 42 272 € | Surface du lot | 0,1 ha |
| Prix par ha | 417 823,66 € |
| Prix | 42 272 € |
| Prix par ha | 417 823,66 € |
| Surface du lot | 0,1 ha |
DESCRIPTION
±10 676 pieds carrés (±0,25 acre) de terrain commercial d'angle à California City, CA, prêt à construire, bénéficiant de services publics déjà en place grâce au bâtiment commercial situé à l'est de la parcelle. Bordures, caniveaux et trottoirs existants, avec deux accès pour véhicules (2/3 de l'accès nord et 100 % de l'accès ouest), électricité connectée au panneau électrique (et éclairage du parking), gaz, égouts, rues et eau de la ville. Emplacement de choix offrant une excellente visibilité depuis l'artère principale et le parc central à proximité. La propriété est située directement sur California City Blvd, dans la principale zone commerciale, avec une population de 14 054 habitants dans un rayon de 3,2 km et un revenu moyen par ménage de 73 641 $ dans la zone immédiate (3,2 km). Le site propose un zonage flexible avec un tout nouveau bâtiment commercial à l'est et un terrain commercial C1 de l'autre côté de la rue. Le zonage actuel RM1 peut facilement être modifié en interne par la ville si nécessaire, selon le service d'urbanisme. Les avenues existantes dirigent le trafic à proximité de la propriété. Idéal pour des projets tels que restauration rapide (QSR), drive-in, station de lavage, centre commercial, fast-food, station-service, hôtel, supermarché, centre commercial, hébergement, restaurant, vente de véhicules, et bien plus encore. Financement par le vendeur disponible avec seulement 10 % d'acompte ! Description de l'emplacement La propriété est située au nord de Redwood Blvd, à l'est de Lehigh St, au sud de Loop Blvd et à l'ouest de California City Blvd. Avec un accès direct à California City Blvd, elle offre de magnifiques vues ainsi qu'un emplacement sécurisé et privé. California City est une ville située dans la partie nord de la vallée d'Antelope, dans le comté de Kern, en Californie, aux États-Unis. Elle se trouve à 160 km au nord de Los Angeles, avec une population de 14 973 habitants selon le recensement de 2020. Couvrant 527,4 km², California City est la troisième plus grande ville de Californie en termes de superficie et la plus grande ville de l'État qui n'est pas un siège de comté.
TAXES FONCIÈRES
| Numéro de parcelle | 210-290-18-00-9 | Évaluation des aménagements | 0 € |
| Évaluation du terrain | 3 520 € | Évaluation totale | 3 520 € |
TAXES FONCIÈRES
Présenté par
10622 S Loop Rd
Hum, une erreur s’est produite lors de l’envoi de votre message. Veuillez réessayer.
Merci ! Votre message a été envoyé.
