Connectez-vous/S’inscrire
Votre e-mail a été envoyé.
24 Acre Tract-Off of Washington Rd 1021 Ann Taylor Blvd Lot | Résidentiel | 9,85 ha | À vendre | 2 142 850 € | Augusta, GA 30907



Certaines informations ont été traduites automatiquement.
RÉSUMÉ ANALYTIQUE
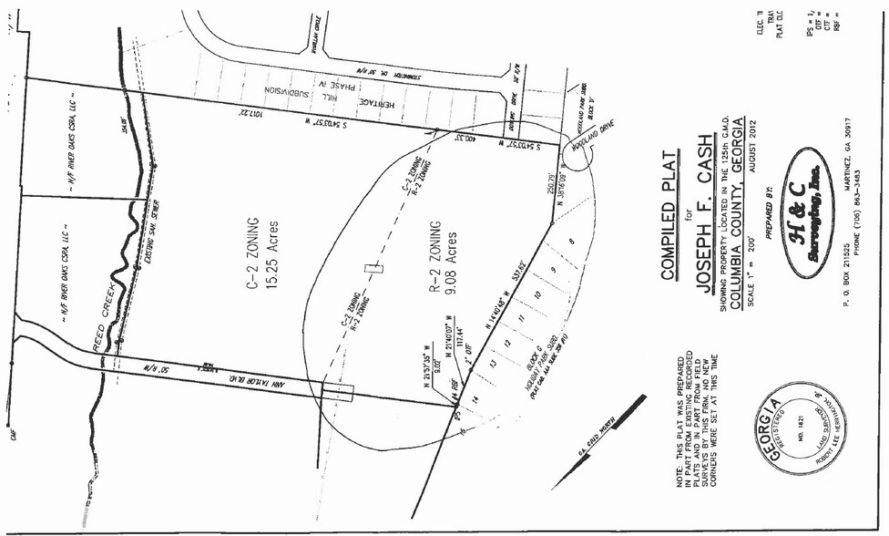
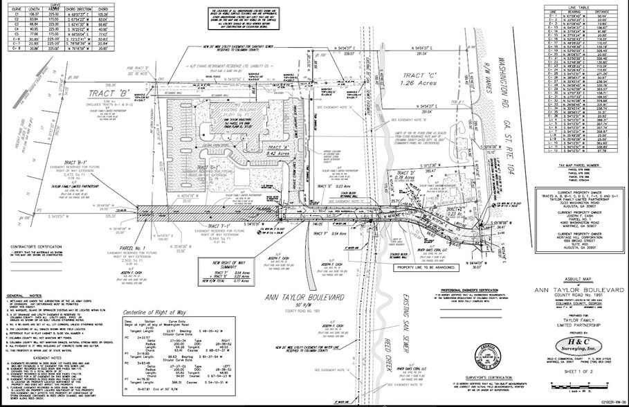
L'ensemble de la propriété disponible est d'environ 24,33 acres avec +/- 5 acres en zone inondable. La propriété est en zonage mixte, les 15,25 acres avant étant zonés C-2 et les 9,08 acres arrière zonés R-2. Accès depuis le boulevard Ann Taylor à l'intersection signalée de Washington Road, en face de Club Car.
L'établissement est adjacent à la BMW Ann Taylor et est accessible depuis l'intersection signalisée de Washington Road. Situé en face de Washington Road depuis Club Car, juste en bas du centre commercial Mullins Crossing.
L'établissement est adjacent à la BMW Ann Taylor et est accessible depuis l'intersection signalisée de Washington Road. Situé en face de Washington Road depuis Club Car, juste en bas du centre commercial Mullins Crossing.
INFORMATIONS SUR L’IMMEUBLE
| Prix | 2 142 850 € | Sous-type de bien | Résidentiel |
| Type de vente | Investissement | Usage proposé | Commercial |
| Nb de lots | 1 | Surface totale du lot | 9,85 ha |
| Type de bien | Terrain | ||
| Zonage | C-2/R-2 - Commercial/Résidentiel | ||
| Prix | 2 142 850 € |
| Type de vente | Investissement |
| Nb de lots | 1 |
| Type de bien | Terrain |
| Sous-type de bien | Résidentiel |
| Usage proposé | Commercial |
| Surface totale du lot | 9,85 ha |
| Zonage | C-2/R-2 - Commercial/Résidentiel |
1 LOT DISPONIBLE
Lot
| Prix | 2 142 850 € | Surface du lot | 9,85 ha |
| Prix par ha | 217 636,57 € |
| Prix | 2 142 850 € |
| Prix par ha | 217 636,57 € |
| Surface du lot | 9,85 ha |
1 1
1 sur 5
VIDÉOS
VISITE EXTÉRIEURE 3D MATTERPORT
VISITE 3D
PHOTOS
STREET VIEW
RUE
CARTE
1 sur 1
Présenté par
24 Acre Tract-Off of Washington Rd | 1021 Ann Taylor Blvd
Vous êtes déjà membre ? Connectez-vous
Hum, une erreur s’est produite lors de l’envoi de votre message. Veuillez réessayer.
Merci ! Votre message a été envoyé.
