Votre e-mail a été envoyé.
Certaines informations ont été traduites automatiquement.
DISPONIBILITÉ DE L’ESPACE (1)
Afficher le tarif en
- ESPACE
- SURFACE
- DURÉE
- LOYER
- TYPE DE LOYER
| Espace | Surface | Durée | Loyer | Type de loyer | ||
| 1er étage | 279 – 2 787 m² | Négociable | Sur demande Sur demande Sur demande Sur demande | À déterminer |
1er étage
Prime Retail Opportunity at Dawson Trails – Castle Rock , CO Discover an exceptional opportunity to secure premium retail space in one of Colorado's fastest-growing markets. Located at the southwest corner of Ike Street and Costco Lane in Castle Rock, Dawson Trails Tracts N, Q, and S encompass . acres (, SF) of prime commercial land within an approved Planned Development (PD) zone. This super pad site is strategically positioned for maximum visibility and is directly accessible from the new interchange at I- and Crystal Valley. It is adjacent to a proposed Costco Wholesale warehouse, set for estimated completion in Q —a proven traffic magnet that will drive thousands of daily shoppers directly to your doorstep. Unmatched Location and Accessibility Situated just north of the under-construction Interstate interchange at Crystal Valley Parkway/Territorial Road (anticipated completion Q ), providing seamless regional connectivity for customers from Denver, Colorado Springs, and beyond. Direct access via proposed roadways and shared parking with the adjacent Costco, ensuring high foot traffic and convenience. Part of the expansive Dawson Trails Planned Development, with utilities (water/sewer from the Town of Castle Rock) and public roadways extended to the site at no cost to tenants – ready for efficient build-out of multi-tenant retail spaces. Thriving Market and Growth Potential Surrounded by explosive residential and commercial expansion: The nearby Crystal Valley Parkway area is approved for , new homes and . million square feet of additional retail, fueling long-term demand. Affluent demographics in a -mile radius: population of , (projected to grow to , by ), median household income of $,, and average household income of $, – ideal for national retailers targeting high-spending consumers. Stable and recovering retail market: The Denver metro area shows positive net absorption (projected , SF by end of in the Southeast Outlying submarket) with occupancy rates at .% and asking rents rising to $./SF by . Development-Ready for National Tenants This site is zoned for development into flexible, multi-tenant retail spaces available for lease or sale – perfect for big-box anchors, dining concepts, or specialty retailers. This development will be offered for pre-leasing currently to lock a location next to the newest Costco in Colorado. Highest and best use identified as retail development, capitalizing on the site's proximity to Costco and the new I- interchange for unparalleled exposure in a high-growth corridor. Position your brand at the heart of Castle Rock's retail renaissance. With Costco's draw, superior demographics, and infrastructure advantages, Dawson Trails offers a rare chance to capture market share in a burgeoning trade area. Contact us today to explore leasing opportunities and be part of this dynamic retail destination!
Types de loyers
Le montant et le type de loyer que l’occupant (locataire) est tenu de payer au propriétaire (bailleur) sur la durée du bail sont négociés avant la signature du bail par les deux parties. Le type de loyer varie selon les services fournis. Par exemple, le prix d’un loyer triple net est habituellement inférieur à celui d’un bail à service complet puisque l’occupant est tenu d’assumer des dépenses supplémentaires par rapport au loyer de base. Contacter le broker chargé de l’annonce pour bien comprendre les coûts associés ou les dépenses supplémentaires pour chaque type de loyer.
1. Service complet: Un loyer qui comprend des services d’immeuble standards normaux fournis par le propriétaire dans le cadre d’une location annuelle de base.
2. Double net (NN): L’occupant paie seulement deux des frais de l’immeuble. Le propriétaire et l’occupant déterminent ces frais spécifiques avant la signature du bail.
3. Triple net (NNN): Un bail selon lequel l’occupant est responsable de tous les frais liés à sa part proportionnelle d’occupation de l’immeuble.
4. Brut modifié: Le brut modifié est un type général de bail dans lequel l’occupant est en général responsable de sa part proportionnelle d’une ou de plusieurs dépenses. C’est le propriétaire qui paie les frais restants. Consultez la liste ci-dessous pour connaître les structures de loyers bruts modifiés les plus courantes : 4. Plus services publics: Un type de bail brut modifié, où l’occupant est responsable à hauteur de sa part proportionnelle des services publics en plus du loyer. 4. Plus nettoyage: Un type de bail brut modifié, où l’occupant est responsable à hauteur de sa part proportionnelle du nettoyage en plus du loyer. 4. Plus électricité: Un type de bail brut modifié, où l’occupant est responsable à hauteur de sa part proportionnelle du coût de la consommation électrique en plus du loyer. 4. Plus électricité et nettoyage: Un type de bail brut modifié, où l’occupant est responsable à hauteur de sa part proportionnelle du coût de la consommation électrique et du nettoyage en plus du loyer. 4. Plus services publics et charges: Un type de bail brut modifié où l’occupant est responsable à hauteur de sa part proportionnelle des services publics et du coût de nettoyage en plus du loyer. 4. Bail industriel brut: Un type de bail brut modifié dans lequel l’occupant paie un ou plusieurs des frais en plus du loyer. Le propriétaire et l’occupant déterminent ces frais spécifiques avant la signature du bail.
5. Électricité à la charge de l’occupant: Le propriétaire paie pour tous les services et l’occupant est responsable de sa propre utilisation de l’éclairage et des prises électriques dans l’espace qu’il occupe.
6. Négociable ou sur demande: Cette option est utilisée lorsque le contact de location n’indique pas le type de loyer ou de service.
7. À déterminer: À déterminer : utilisé pour les immeubles dont le type de services ou de loyer n’est pas connu, souvent quand l’immeuble n’est pas encore construit.
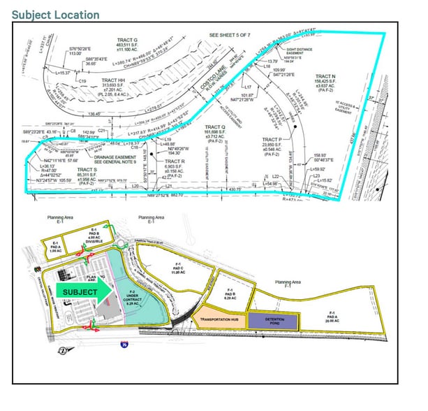
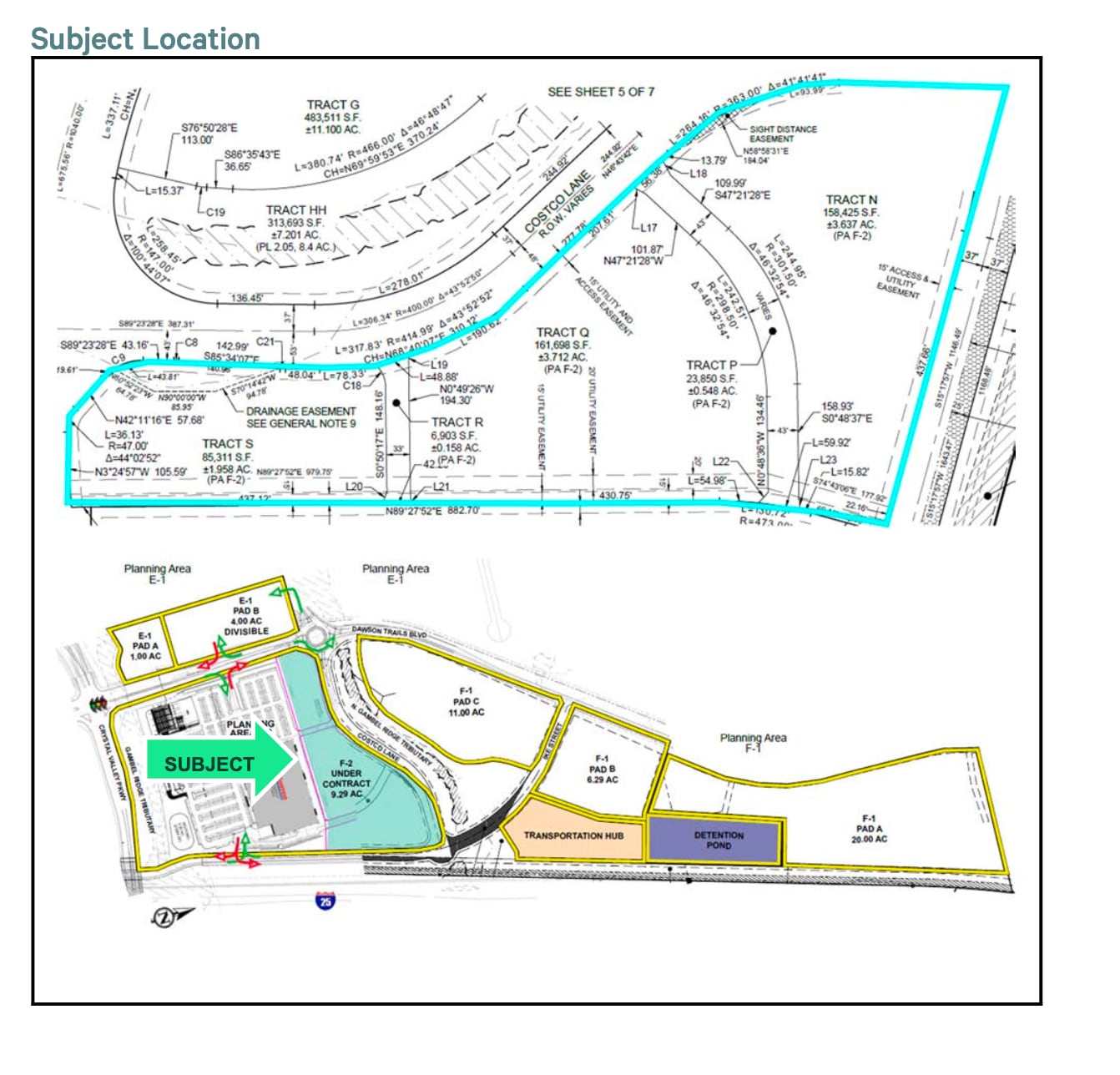
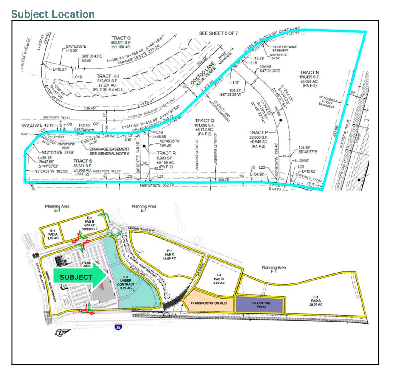
PLAN DU SITE
INFORMATIONS SUR L’IMMEUBLE
| Espace total disponible | 2 787 m² | Surface commerciale utile | 6 503 m² |
| Min. Divisible | 279 m² | Année de construction | 2028 |
| Type de bien | Local commercial | Statut de la construction | Avant-projet |
| Sous-type de bien | Boutique |
| Espace total disponible | 2 787 m² |
| Min. Divisible | 279 m² |
| Type de bien | Local commercial |
| Sous-type de bien | Boutique |
| Surface commerciale utile | 6 503 m² |
| Année de construction | 2028 |
| Statut de la construction | Avant-projet |
À PROPOS DU BIEN
Prime Retail Opportunity at Dawson Trails - Castle Rock CO Discover an exceptional opportunity to secure premium retail space in one of Colorado's fastest-growing markets. Located at the southwest corner of Ike Street and Costco Lane in Castle Rock, Dawson Trails Tracts N, Q, and S encompass 9.31 acres (405,435 SF) of prime commercial land within an approved Planned Development (PD) zone. This super pad site is strategically positioned for maximum visibility and is directly accessible from the new interchange at I-25 and Crystal Valley. It is adjacent to a proposed Costco Wholesale warehouse, set for estimated completion in Q1 2027—a proven traffic magnet that will drive thousands of daily shoppers directly to your doorstep. Unmatched Location and Accessibility Situated just north of the under-construction Interstate 25 interchange at Crystal Valley Parkway/Territorial Road (anticipated completion Q1 2027), providing seamless regional connectivity for customers from Denver, Colorado Springs, and beyond. Direct access via proposed roadways and shared parking with the adjacent Costco, ensuring high foot traffic and convenience. Part of the expansive Dawson Trails Planned Development, with utilities (water/sewer from the Town of Castle Rock) and public roadways extended to the site at no cost to tenants – ready for efficient build-out of multi-tenant retail spaces. Thriving Market and Growth Potential Surrounded by explosive residential and commercial expansion: The nearby Crystal Valley Parkway area is approved for 5,850 new homes and 3.2 million square feet of additional retail, fueling long-term demand. Affluent demographics in a 5-mile radius: 2024 population of 76,203 (projected to grow to 84,469 by 2029), median household income of $150,864, and average household income of $181,317 – ideal for national retailers targeting high-spending consumers. Stable and recovering retail market: The Denver metro area shows positive net absorption (projected 33,000 SF by end of 2025 in the Southeast Outlying submarket) with occupancy rates at 98.6%. Development-Ready for National Tenants This site is zoned for development into flexible, multi-tenant retail spaces available for lease or sale – perfect for big-box anchors, dining concepts, or specialty retailers. This development will be offered for pre-leasing currently to lock a location next to the newest Costco in Colorado. Highest and best use identified as retail development, capitalizing on the site's proximity to Costco and the new I-25 interchange for unparalleled exposure in a high-growth corridor. Position your brand at the heart of Castle Rock's retail renaissance. With Costco's draw, superior demographics, and infrastructure advantages, Dawson Trails offers a rare chance to capture market share in a burgeoning trade area. Contact us today to explore leasing opportunities and be part of this dynamic retail destination! Development-Ready for National Tenants This site is zoned for development into flexible, multi-tenant retail spaces available for lease or sale – perfect for big-box anchors, dining concepts, or specialty retailers. This development will be offered for pre-leasing currently to lock a location next to the newest Costco in Colorado. Highest and best use identified as retail development, capitalizing on the site's proximity to Costco and the new I- interchange for unparalleled exposure in a high-growth corridor. Position your brand at the heart of Castle Rock's retail renaissance. With Costco's draw, superior demographics, and infrastructure advantages, Dawson Trails offers a rare chance to capture market share in a burgeoning trade area. Contact us today to explore leasing opportunities and be part of this dynamic retail destination!
PRINCIPAUX COMMERCES À PROXIMITÉ
Présenté par
101 Dawson Dr
Hum, une erreur s’est produite lors de l’envoi de votre message. Veuillez réessayer.
Merci ! Votre message a été envoyé.







