Connectez-vous/S’inscrire
Votre e-mail a été envoyé.
0 TRANSIT WAY 0 Transit Way Lot | Terrain commercial | 5,58 ha | À vendre | 833 532 € | Brockport, NY 14420

Certaines informations ont été traduites automatiquement.
Informations principales sur l'investissement
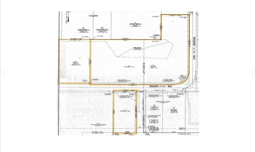
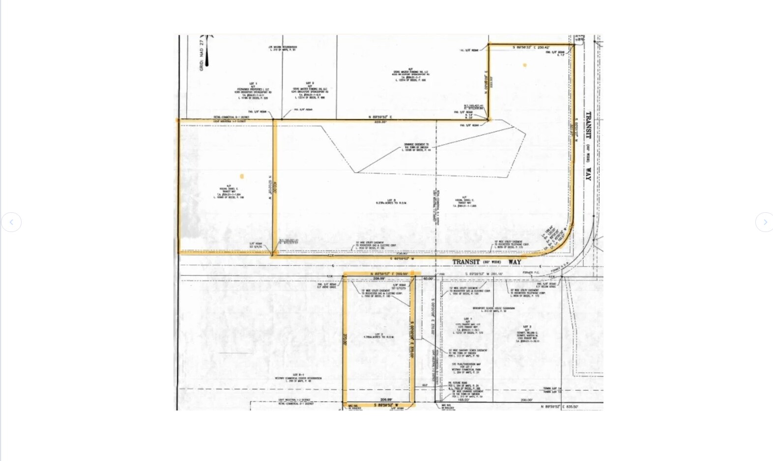
- Commercial & Industrial Development Opportunity
- 13.8 Total Acres
- 9.3 ac Lot Can Be Subdivided Further
- Located In The Heart of Brockport's Commercial Corridor
- Three Lots: 1.8 ac, 2.75 ac, 9.3 ac
- All Utilities At The Road
Résumé analytique
Excellent development opportunity with 13.8 acres of vacant land zoned Light Industrial & Retail Commercial in the heart of Brockport’s busiest commercial corridor. Total 13.8 acres is subdivided into 2.75 AC, 1.8 AC, and 9.3 AC. Further subdivision of the 9.3 AC is possible. The property is located on Transit Way, a strong commercial corridor Surrounded by major retail & services including Wegmans, Walmart, Lowe’s, ALDI, Burger King, Tim Hortons, Monroe Tractor, Hampton Inn & Suites and many other regional and national retailers. Whether you’re seeking a single large development site or smaller subdivided parcels, this property provides the flexibility to match your vision. With competitive pricing and strong neighboring anchors, Transit Way is positioned for long-term growth and success and is ideal for service retail or light industrial developments. All utilities are available at the road including electric, gas, sanitary and storm sewers, and water.
Informations sur l’immeuble
1 Lot disponible
Lot
| Prix | 833 532 € | Surface du lot | 5,58 ha |
| Prix par ha | 149 253,87 € |
| Prix | 833 532 € |
| Prix par ha | 149 253,87 € |
| Surface du lot | 5,58 ha |
Total 13.8 acres is subdivided into 2.75 AC, 1.8 AC, and 9.3 AC. Further subdivision of the 9.3 AC is possible. All utilities are at the road.
1 1
Fairly walkable
40/100
Very drivable
80/100
Fairly bikeable
50/100
Taxes foncières
| N° de parcelle | Évaluation des aménagements | 0 € | |
| Évaluation du terrain | 632 743 € | Évaluation totale | 632 743 € |
Taxes foncières
N° de parcelle
Évaluation du terrain
632 743 €
Évaluation des aménagements
0 €
Évaluation totale
632 743 €
1 sur 2
Vidéos
Visite extérieure 3D Matterport
Visite 3D
Photos
Street view
Rue
Carte
1 sur 1
Présenté par
0 TRANSIT WAY | 0 Transit Way
Vous êtes déjà membre ? Connectez-vous
Hum, une erreur s’est produite lors de l’envoi de votre message. Veuillez réessayer.
Merci ! Votre message a été envoyé.
